 |  |  |
|
|
|
94-378 Pupupani Waipahu HI 96797 · Neighborhood: Waipahu-Lower · Region: Waipahu · MLS: 2503618 · TMK: 1-9-4-027-009-0000 & History  |
|
|
| Expired. It was offered at $409,000 LH |
| Location |
| Type: Multi Family Home |
| Region: Waipahu |
| Neigh: Waipahu-Lower |
| 94-378 Pupupani |
| Waipahu HI 96797 |
 |
|
| Area |
| Building sf: | 4,400 |
| Land sf: | 0 |
| Land acres: | 0.000 |
| Other |
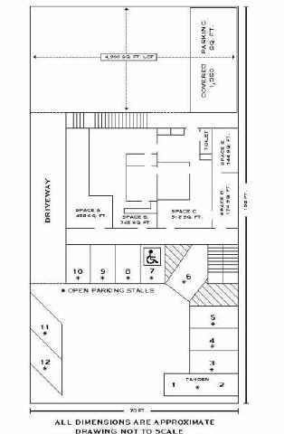
| Parking: | 12 |
| Built: | 1968 |
| Remodeled: | |
| Furnished: |
|
| Elevators: | 0 |
|
| Rooms |
| Studios: | 0 |
| 1 Bedroom Units: | 0 |
| 2 Bedroom Units: | 0 |
| 3 Bedroom Units: | 0 |
| Com space: | 0 |
| Total Units: | 13 |
| Financials |
| Rental Income: | 91,800 |
| Expenses: | (87,978) |
| Net Operating Income: | 21,742 |
| Other Income: | 17,920 |
| Total Income: | 109,720 |
|
|
|
|
| |
|
|
|
| Property Features |
|
Amenities
A/C
Building Type
Other
Condition
Average
Construction
Above GroundHollow TileMasonry/StuccoSingle Wall
Disclosures
Licensed Owner
Documents
Easements
EgressIngress
Expense Income
Other
|
Fee
Frontage
Furnished
Land Recorded
Land Court
Laundry
None
Land Tenure
LH - Leasehold
Lessee Pays
Listing Broker
RM Management LLC
Location
|
Lot Description
Meters
Electric
Parking Guest
10+ Spaces
Parking Tenant
Open
Possession
Close of Escrow
Recreation Facility
Other
Roof
Pitch & Gravel
Sale Conditions
Set Backs
CandC
|
Sewer
Connected
Stories
Two
Terms Offered
CashConventional
Terms Sold
Topography
Utilities
View
None
Zoning
|
|
|
| More Information |
| Contact list | Prop Mgt |
| Management Company: | |
| Management Company Phone: | |
|
| Real Property Tax |
| Tax year: 2004 | Assessed |
| Land | 319,000 |
| Improvement | 195,800 |
| Exemption | 0 |
| Total | 514,800 |
| Monthly Tax | 6,339 |
|
| 7,709 Days on Market | Key Dates | Pricing |
| Year Built: | 1968 | |
| Original List: | | 409,000 LH |
| Listed: | 3/11/2005 | 409,000 LH |
| n/a | | 0 |
| Advertise: | | |
| Auction: | | |
| Price change: | | |
| Temp off Market: | | |
| Off Market: | 4/6/2005 | |
| Temp withdrawn: | | |
| Withdrawn: | | |
| Back on Market: | | |
| Status change: | 3/12/2006 | |
| Last Modified: | 5/17/2007 | |
| Contingency: | | |
| Pending: | | |
| Conditional: | | |
| Sold: | | 0 LH |
| Concessions: | | (0) |
| Net SP: | | 0 LH |
|
|
|
| Share |
Email this deal
|
|
|
|
| Representation, Questions & Additional Information |
|
If you are already working with an agent, please contact them directly for more information on this Multi Family Home listing.
|
If you would like to work with a pro, contact:
Robin Glass, (R), PB, MBA Hawaii Home + Commercial LLC ☎ 808-358-1774
glassr@hawaiihome.cc
|
|
|
|
|
|
|
| |
|  | |